民族医药学院古锐教授团队在《Computers and Electronics in Agriculture》上发表题为“SAA-YOLO: A scale-aware attention enhanced YOLOv10 for UAV-based detection of medicinal plant Phlomoides rotata in alpine grasslands”的研究论文。学院丁荣助理研究员为第一作者,民族医药学院贾红梅助理研究员、西南民族大学钟世红教授和民族医药学院古锐教授为共同通讯作者。
监测药用植物的种群动态对药用植物资源可持续发展和生物多样性保护至关重要。然而,传统样方的野外调查受限于劳动强度大、时空覆盖有限等难点。独一味Phlomoides rotata作为青藏高原特有的珍稀高寒药用植物,亟需大尺度、高精度的自动化监测手段以支持其资源评估与保护。
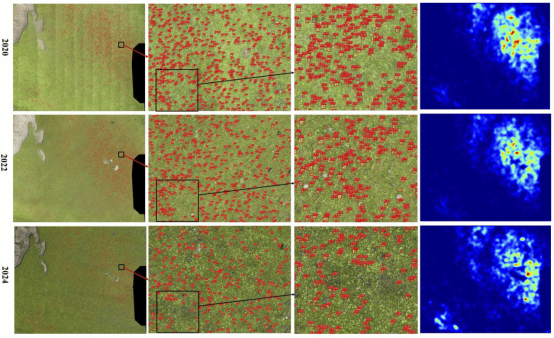
该研究提出了一种基于无人机(UAV)和深度学习的时空监测模型—SAA-YOLO。该模型在YOLOv10s架构基础上,创新性引入了尺度感知注意力(SAA)机制,通过多尺度空洞卷积和通道注意力进行特征融合,显著增强了复杂高山环境中对小目标植物的检测能力。结果表明,SAA-YOLO模型性能优异(F1=96.89%,mAP0.5:0.95达80.49%),预测结果与地面真实值高度吻合,优于现有模型。基于该模型的时序分析揭示,2020至2024年间独一味种群数量显著下降(自38596株锐减至25168株),样地独一味总叶面积降低44.0%,且空间聚集强度减弱,凸显其在环境胁迫下日益增加的脆弱性。
该研究不仅为高寒珍稀植物的长期自动化监测提供了高效、可扩展的解决方案,也为脆弱生态系统下珍贵药用资源的可持续采收与科学管理提供了重要的数据支撑与决策工具。
该成果得到国家自然科学基金(2026NSFSC1843)的支持。
全文链接:https://doi.org/10.1016/j.compag.2026.111570
(文、图/民族医药学院)